陕西省中医药大学 陕西咸阳 712000
【摘要】 目的:通过观察子宫内膜异位症(EMT)模型大鼠的异位内膜组织形态和超微结构的变化,为宫瘤消胶囊治疗内异症提供组织病理形态学实验依据。方法:实验分为空白组及EMT模型大鼠的模型组、桂枝茯苓胶囊组、宫瘤消胶囊小、中、大剂量组,各组给予相对应药物治疗后,光镜、电镜下观察异位内膜及正常子宫内膜组织形态结构。结果:光镜下,模型组异位内膜生长旺盛,用药各组异位内膜上皮细胞、腺体和血管有不同程度的萎缩和减少,其中宫瘤消中、大剂量组最为明显。电镜下,模型组异位子宫内膜上皮细胞正常,用药各组上皮细胞呈不同程度的排列紊乱,部分细胞呈肿胀、坏死、凋亡的形态学改变。结论:宫瘤消胶囊可破坏异位内膜细胞,直观反映了该药的疗效性,为该药治疗EMT提供了组织病理形态学实验依据。
【关键词】宫瘤消胶囊 子宫内膜异位症 组织形态
子宫内膜异位症(Endometriosis,EMT)是具有生长功能的子宫内膜组织(腺体和间质)出现在子宫腔被覆内膜及宫体肌层以外的其他部位的一类疾病[1]。它具有发病率高,以育龄期妇女为主;有增生、浸润、转移及复发类恶性肿瘤行为;易致盆腔疼等特点,严重的危害了广大妇女的身心健康。对此,如何更快、更有效治疗该病是当代医学者面临的难题,而中医药治疗该病的研究尤为重要。本次实验是以探究活血化瘀药物宫瘤消胶囊对EMT模型大鼠组织形态和超微结构影响为目的。
1.材料
1.1实验动物:SPF级雌性SD(Sprague Dawley)大鼠100只,未经交配生育,体重约200±20g。购自第四军医大学实验动物中心,合格证号:SCXK(军)2012—0007。
1.2实验药物:宫瘤消胶囊混悬液(牡蛎、制香附、土鳖虫、三棱、莪术、白花蛇舌草、仙鹤草、牡丹皮、党参、白术、吴茱萸等):由山东步长神州制药公司生产、研发;桂枝茯苓胶囊混悬液(桂枝、茯苓、桃仁、牡丹皮、赤芍药):由江苏康缘药业股份有限公司生产;以上两药由陕西中医药大学附属医院制剂科熬制,宫瘤消胶囊混悬液药用浓度为含生药分别为0.0625g/ml、0.156g/ml、0.391g/ml,桂枝茯苓胶囊混悬液药用浓度为含生药0.029g/ml。
1.3实验试剂:戊二醛 :SCRC国药集团化学试剂有限公司(上海)生产;四氧化锇: JOHNSON MATTHEY CHEMICALS LTD ENGLAND生产;环氧树脂Epon812 :SPI Supplies Division of STRUCTURE PROBE.Lnc. USA 生产;还氧丙烷:SCRC国药集团化学试剂有限公司(上海)生产;醋酸双氧铀:TED PELLA,INC. CANADA生产。H苏木精-伊红(HE)染色试剂盒:上海圻明生物科技有限公司生产。
1.4实验仪器:透射式电子显微镜:日本电子公司生产,JEM-100SX;透射式电子显微镜:日本日立(HITACHI)公司生产,H-600;透射式电子显微镜:日本日立(HITACHI)公司生产,H-7650 ;超薄切片机:瑞典LKB公司生产,LKB-Ⅴ/NOVA,电子显微镜:上海光密仪器有限公司生产, 型号:GVM-10。
2.实验方法
2.1实验过程
选择SPF级雌性SD大鼠100只,采用Vernon[2]等的大鼠自体移植法建立动物模型。大鼠自由摄取食物和水,每日08:30进行阴道脱落细胞涂片检查[3],观察动情周期。选择连续有2个以上动情周期的大鼠90只,10只为空白组,余80只于动情期造模。造模过程如下:10%水合氯醛(0.3ml/100 g)腹腔注射麻醉,常规消毒腹部,取尿道上1cm正中切口,长约2-3cm, 逐层分离进入腹腔,切除左侧子宫,于37℃生理盐水中将子宫纵行剖开,去除子宫浆膜层及肌层得到子宫内膜组织。将子宫内膜修剪成5mm×10mm,使上皮细胞面紧贴腹肌,四角缝合于右侧血管丰富的腹膜处,常规关腹。术后肌注庆大霉素0.1ml/次,1次/天,连续3天,预防感染。同时于术后第2天开始肌注雌二醇[0.1mg/(kg·d)],每隔3天1次,共3次,以促进异位内膜生长。造模后30天后,再次剖腹探查造模是否成功。 将造模成功的大鼠55只,随机分为模型组、桂枝茯苓胶囊组、宫瘤消小、中、大三个剂量组,每组11只。分别给予生理盐水(1ml/100g)、桂枝茯苓胶囊混悬液(0.029g/1ml/l00g)、宫瘤消小(0.0625g/ml/100g)、中(0.156g/ml/100g)、大(0.391g/ml/100g)三种剂量混悬液每日定时灌胃,连续30日。空白组自由取水。灌胃过程中模型组、桂枝茯苓胶囊组各死亡1只大鼠。宫瘤消胶囊大剂量组1只大鼠患化脓性中耳炎,被剔除实验。灌胃完毕后,于大鼠动情期处理动物及用眼科剪剪去异位内膜组织将其修饰成两块组织,用于指标检测。
2.2模型成功的标志[4]:(1)移植物体积增大,有大网膜或结缔组织覆盖,表面血管袢丰富;(2)移植物呈囊状,其内充满清亮或淡黄色液体,积液高度≥2mm;(3)取病灶HE染色后,镜下可见子宫内膜的上皮、间质细胞或腺体,病理证实移植物存活。
2.3实验指标:光镜、电镜下观察EMT模型大鼠异位内膜及正常子宫内膜组织形态结构,实验染色过程按试剂盒执行。
2.4统计学处理:实验数据结果用均数±标准差表示;运用SPSS 19.0 统计软件中单因素方差分析。
3实验结果
3.1阴道脱落细胞检测结果
据相关文献[5、6]报道,镜下找出有规律动情周期的大鼠各期特点如下:
动情前期:光镜下涂片中有核上皮细胞为主,有少量角化细胞或白细胞;该阶段持续时间约为:17-21小时。
动情期:涂片光镜下角化上皮细胞为主,该阶段持续时间约为:9-15小时。
动情后期:涂片光镜下角化细胞、有核上皮细胞、白细胞同时存在,比率相当。该阶段持续时间约为:10-15小时。
动情间期:涂片光镜下白细胞为主,角化细胞及上皮细胞极少;该阶段持续时间约为:60-70小时。
3.2光镜下各组大鼠异位内膜组织形态变化
(1)正常对照组:子宫内膜上皮细胞和腺上皮均结构完整,呈柱状排列,固有层腺体、间质细胞、血管结构完整、排列整齐;腺体数量多、少许分泌物,血管轻度螺旋。
(2)模型组大鼠:异位内膜结构呈倒状的梨形,或环形锯齿状封闭式,上皮细胞与腺上皮均呈高柱状,细胞结构完整,固有层腺体数量增多且腺腔大,分泌物一般,血管数量较多,轻度螺旋,基质细胞数量多,界限不清,胞核卵圆深染。
(3)桂枝茯苓丸组:内膜腺上皮层变薄,部分上皮细胞结构不完整,固有层腺体数量减少、腺腔变小,腺上皮少许结构破坏,血管萎缩变短,变直,但间质细胞及腺体萎缩不明显。
(4)宫瘤消小剂量组:子宫内膜上皮细胞呈萎缩性改变,固有层腺上皮结构不完整,腺腔变小,少量分泌物,血管数量减少,变直,间质稀疏,排列稍紊乱。

(空白组 200×) (模型组 200×) (桂枝茯苓胶囊组 200×)

(小剂量组 200×) (中剂量组 200×) (大剂量组 200×)
(5)宫瘤消中、大剂量组:异位内膜上皮细胞较多的萎缩性改变,固有层腺体、血管数量较少且结构紊乱,腺上皮、血管腺上皮及粘膜上皮呈低柱状。间质细胞缩小而稀疏,有纤维化倾向,肌纤维排列紊乱。
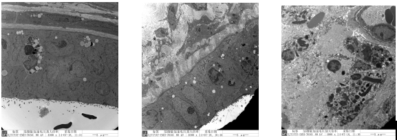
3.3透射电镜下各组大鼠异位内膜的组织形态学变化
空白组:子宫内膜上皮细胞呈柱状排列,细胞游离面微绒毛,细胞间界线清晰,细胞核略呈圆形,核内染色均匀,核仁呈网状结构;细胞质内细胞器丰富且结构正常。
模型组:子宫内膜上皮细胞柱状排列,核膜完整,胞浆形态正常,细胞游离端见丰富微绒毛,胞核圆形居中,细胞器正常。有些异位内膜可见大量的结缔组织、巨噬细胞。细胞质内含有大量吞噬颗粒、胶原纤维。
桂枝茯苓组:子宫内膜上皮细胞呈单层柱状排列,细胞排列基本整齐,其电子密度较高;细胞的游离面微绒毛短小稀疏,细胞间可见连接结构;细胞核多呈卵圆形或不规则,核内染色质分布均匀,部分核内染色质轻度凝集,核仁边移。
宫瘤消胶囊低剂量组:子宫内膜上皮细胞萎缩呈低柱状,细胞游离面微绒毛稀疏;胞核形状不规则,核内染色质分布基本均匀,核仁边移;细胞器结构正常;相邻细胞间连接结构不完整,细胞间可见到巨噬细胞浸入。
宫瘤消胶囊中、高剂量组:上皮细胞排列紊乱,部分细胞呈肿胀、坏死、凋亡的形态学改变,细胞游离面微绒毛减少或消失;胞核形状不规则,核内染色质轻度凝集、边集,核仁边移;线粒体肿胀,电子密度降低基底膜结构不完整,相邻细胞间连接结构消失,细胞间可见数量较多的巨噬细胞浸入。

(空白组 4000×) (模型组4000×)(桂枝茯苓胶囊组4000×)

(小剂量组 4000×)(中剂量组 4000×) (大剂量组 4000×)
4.讨论
祖国医学没有子宫内膜异位症这一病名,其内容可散见与“痛经”、“癥瘕”、“无子”、“月经不调”等疾病中。中医学者将“瘀阻胞脉”认定为内异症的基本病机,而活血化瘀法是其根本大法。而本实验的药物宫瘤消胶囊是由牡蛎、香附(制)、土鳖虫、三棱、莪术、白花蛇舌草、仙鹤草、牡丹皮、党参、白术、吴茱萸等十一味中药组合而成,以活血化瘀、软坚散结、祛风通络,行气开郁为主要功用。该方中三棱、莪术、土鳖虫,活血逐瘀行气力强,归属肝、脾经,牡蛎软坚散结,仙鹤草、白花蛇舌草清三药合用增强该方软坚散结之效,香附、牡丹皮善疏肝理气,清热凉血,活血祛瘀,增强行气散瘀之功。党参、白术及吴茱萸补气行滞,推动瘀血运行,使祛瘀不伤正,固护人体正气。纵观全方,活血化瘀、软坚散结药物与补气益血药物相结合,消法与补法并用,使消而不俊,补而不滞,达到了“化瘀不动血,清热解毒不留瘀,瘀祛而不伤正,瘀消则病愈”之效。由此可见,宫瘤消胶囊是完全可以用于“瘀血证”的内异症得,它的主治适应症是可以拓展。
本实验直观的反应了光镜、电镜下各组异位内膜或正常子宫内膜组织形态结构变化,揭示了宫瘤消胶囊可破坏细胞、细胞器的完整性及阻断细胞间连接,从而打破细胞内部结构的稳定性和阻碍各细胞间的物质交换,进而促进异位内膜细胞死亡、凋谢。
【参考文献】
[1]丰有吉,沈铿,马丁等.妇产科学[M].北京:人民卫生出版社,2013;2:368.
[2]Vernon M,Wilson A.Study on the surgical induction of en-dometriosis in the rats [J].Fertil Steril,1987;44:782-786.
[3]施新猷.现代医学实验动物学[M].北京:人民军医出版社,2000,9:10,330-331.
[4]Fang Z,Yang S,Tamura M,et al.Genetic or enzymatic disruption of aromatase Inhibits the growth of ectopic uterine tissue[J].Clin Endocrinol Metab,2002,87(7):3460-3466.
[5]李维.实用阴道细胞学诊断图谱[M].北京:人民军医出版社,2000;(20).
[6]高英茂.组织学与胚胎学[M].北京:人民卫生出版社,2005:19-23,74-77.
论文作者:肖新春 彭光霞
论文发表刊物:《临床医学教育》2017年6月
论文发表时间:2017/6/26
标签:内膜论文; 细胞论文; 胶囊论文; 柱状论文; 桂枝论文; 大鼠论文; 茯苓论文; 《临床医学教育》2017年6月论文;
